Az értékesítő:
Hán Viktória
+36 30 824 3005

Eladó telek/földterület Győr, 49 900 000 Ft, 32 299 Négyzetméter

49 900 000 Ft
telek/földterület, 32 299 Négyzetméter
Azonosító:
11571527
Értékesítés típusa:
eladó
Ingatlan típusa:
telek/földterület
Jelleg:
Külterület
Település:
Győr
Telekterület:
32299
Ár:
49 900 000 Ft
Telekterület típusa:
Négyzetméter
Víz:
Utcában
Gáz:
Utcában
Villany:
Utcában
Csatorna:
Utcában
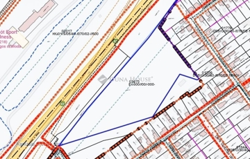
Győr-Ménfőcsanakon eladó a 83-as főút, valamint a Csontváry és a Nádasdy Ferenc utca által körülhatárolt beépítetlen terület. A telek 32300 m2, 3 oldalról körbekerített, jelenleg külterületi rét besorolású, 30 napos kifüggesztésre kötelezett. Összközmű kiépítettség, a területet körbehatároló utcákban elérhető. A ingatlan 1/1-es tulajdonossal rendelkezik, per- és tehermentes. A területre vonatkozó szabályozási terv felülvizsgálata, a Győr Megyei Jogú Város Polgármesteri Hivatala által folyamatban van. Amennyiben az átminősítés elérhetővé válik, akár építési telkek kialakítására is lehetőség nyílik. Az ingatlan a Gyirmóti Sport és Wellness Központtal szemben található, az Aranyhal horgásztó szomszédságában. A környező utcákat gondos családi házak színesítik, aszfaltos utak, közvilágítás, buszközlekedés és minden egyéb infrastruktúra elérhető. Győr-Ménfőcsanakon több társasházi lakópark is megtalálható, mely kedvelt célpont az élhető, kertvárosi környéken ingatlant keresők körében. Ménfőcsanak Győr egyik városrésze, korábban 3 különálló község, Csanakfalu, Csanakhegy és Ménfő egyesítésével jött létre. 1970-ben csatolták Győrhöz, azóta a megyeszékhely része. Fekvését tekintve a Bakony és a Kisalföld találkozásánál helyezkedik el, Győr központjától légvonalban mintegy 7, közúton mintegy 9 kilométerre délre található. Legfontosabb közúti megközelítési útvonala az M1-es autópálya, amely kelet-nyugati irányban halad el a városrész északi peremvidékén, valamint a 83-as főút, amely dél-északi irányban húzódik végig Ménfőcsanakon. A környék fontosabb alsóbbrendű útjai közül Ménfőcsanaknál ér véget a Nyúltól Győrújbaráton át idáig húzódó 8311-es út, itt ágazik ki a 83-as főútból a Sokorópátka-Gic-Bakonytamási felé vezető 8309-es, illetve a Koroncó megközelítését biztosító 8418-as út is. Győr belvárosából a 21B, a 22-es, a 22B és a 22Y helyi autóbuszokkal közelíthető meg. A hazai vasútvonalak közül a városrészt a MÁV 10-es számú GyőrCelldömölk-vasútvonala érinti, megállóhelye Győr felől, felső Ménfőcsanakon található. Amennyiben e kiváló lokációval rendelkező ingatlan felkeltette az érdeklődését, keressen bátran! Referencia szám: TK070717-NOK
https://ingatlanok.hu/elado/telek_foldterulet/gyor/50-millio-ft;32299-negyzetmeter;epitesi-telek-besorolas;nincs-kozmu/11571527