Az értékesítő:
Sponga Mária
+36 20 400 4001

Eladó telek/földterület Dabas, 16 990 000 Ft, 850 Négyzetméter

16 990 000 Ft
telek/földterület, 850 Négyzetméter
Azonosító:
11591506
Értékesítés típusa:
eladó
Ingatlan típusa:
telek/földterület
Település:
Dabas
Telekterület:
850
Ár:
16 990 000 Ft
Telekterület típusa:
Négyzetméter
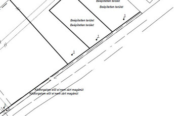
? Eladó Budapesttől 35km-re, Dabason 2db építési telek, egyben, illetve külön-külön is.  ??☀️ Csendes, nyugodt környék, fásított terület. ?? A telkek egyenként 850 és 1101m2 területűek, A teljes telek 1951 m2, mindkettő külön-külön és egyben is eladó. 20 és 30m-es utcafronttal, 30%-os beépíthetőséggel rendelkeznek, aszfaltozott, minden közművel ellátott utcában találhatóak. ?? Ár: 850m2 - 16,99M ft     1101m2 --22,5 M ft  -Egyben az ár még alkuképes.   Kisebb budapesti lakás csere számításba jöhet Érd: Sponga Mária  06-70-431-0007
https://ingatlanok.hu/elado/telek_foldterulet/dabas/17-millio-ft;850-negyzetmeter;nincs-megadva-besorolas;nincs-kozmu/11591506