Az értékesítő:
Fenyvesi Marianna
+36 20 981 3790

Eladó telek/földterület Isaszeg, 15 000 000 Ft, 3 063 Négyzetméter

15 000 000 Ft
telek/földterület, 3 063 Négyzetméter
Azonosító:
11609935
Értékesítés típusa:
eladó
Ingatlan típusa:
telek/földterület
Jelleg:
Külterület
Település:
Isaszeg
Telekterület:
3063
Ár:
15 000 000 Ft
Telekterület típusa:
Négyzetméter
Víz:
Utcában
Gáz:
Nincs
Villany:
Utcában
Csatorna:
Nincs
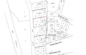
CSAK NÁLUNK! HORGÁSZOK ---BEFEKTETŐK----FIGYELEM! Saját HALAS TAVA lehet, ELÉRHETŐ közelségben és elérhető ÁRON! Ha hobbi teleket szeretne, a Rákos -patak mellett, a VADREGÉNYES terület remek kikapcsolódás. Ha vállalkozásban gondolkodik, --------akár NYÁRI TÁBOROZTATÁS, akár -------VADASPARK, akár --------KALAN PARK,------ stb... számtalan lehetőség várja! Teremtse meg saját birodalmát. A teljes terület nagyság 18.376 m² , amely 6 db önálló helyrajzi számmal ellátott telekre van osztva. Egyben és külön - külön is ELADÓ! Az értékesíteni kívánt terület Isaszeg, Öreghegy városrészének elején, eladó egy 3063 m² alapterületű, Tk, azaz TERMÉSZETKÖZELI TERÜLET, övezeti besorolású telek. A terület 2434 m² rét és 629 m² fásított területet tartalmaz. 6-os művelési osztályba tartozik, aranykorona értéke 3,51. Az utcában víz és villany közművek találhatók. Megközelíteni murvás, kavicsos úton lehet. A környéken, nyaralók, és állandó lakhatású ingatlanok vannak. Ugyan a telekre építeni nem lehet, de egy úszóház akár alternatív megoldás lehet. TERMÉSZETKÖZELI TERÜLET, A Tk jelű természetközeli területen a következő előírásokat kell betartani: - 53/A.§(1) Az övezetbe nádas, lápos, vízjárta területek tartoznak. Az övezetbe épületek nem helyezhetők el. - (2) Az övezet ingatlanai művelési águknak megfelelően fenntartandók. - (3) Az övezetbe sorolt, de kivett művelési ágú földútként és egyúttal közterületként nyilvántartott területekre a HÉSZ KÖu jelű övezetek előírásai vonatkoznak. - (4) Az övezetben minden tevékenység kezelési terv alapján végezhető. KÖZLEKEDÉSI ÉS KÖZMŰ ÖVEZETEK A KÖu jelű közlekedési övezet (közúti közlekedési területek) - 42. § (1) Az övezetbe tartoznak a meglévő és tervezett közutak a hozzájuk tartozó közlekedésüzemi létesítmények területével és tartozékaival együtt. - (2) A közlekedési létesítmények szabályozási szélességét a HÉSZ 7. § (4) bekezdésével összhangban SZT szerint kell kialakítani. - (3) Övezeti paraméterek: - Beépítési mód: szabadon álló. - Beépítettség terepszint felett 5%. - Építmény magasság 5 m. - (4) Az övezetben 500 m2-nél nagyobb bruttó alapterületű építmény csak jóváhagyott SZT alapján helyezhető el. - (5) A közutak építési (szabályozási) szélességén belül a közlekedési létesítmények, a közművek létesítményei és berendezései, környezetvédelmi létesítmények, utca bútorok helyezhetők el, illetve utca fásítás (növényzet) telepíthető. - (6) Az övezetben a melléképítmények közül közmű-becsatlakozási műtárgy, közműpótló műtárgy, hulladéktartály-tároló (legfeljebb 2,0 m-es belmagassággal), kirakatszekrény (legfeljebb 0,40 m-es mélységgel), kerti építmény (hinta, csúszda, homokozó, szökőkút, pihenés és játék céljára szolgáló műtárgy, a terepszintnél 1 m-nél nem magasabbra emelkedő lefedés nélküli terasz), kerti szabadlépcső (tereplépcső) és lejtő, szabadon álló és legfeljebb 6,0 m magas szélkerék, antenna oszlop, zászlótartó oszlop helyezhetők el. AZ ÖVEZETI BESOROLÁSA miatt, a törvény által előírt, KIFÜGGESZTÉSI KÖTELEZETTSÉG mellett lehet megvásárolni! Ha valaki csak a telek felét, azaz 50%-át szeretné megvásárolni, ÜGYVÉDI HASZNÁLATI megosztással lehetséges. Az ár abban az esetben 50% +20% felár = 9.000.000 Ft Eladó továbbá, a 34, 33, 32, 30, és 29 számú telkek is. Egyben 90.000.000 Ft ----------Az ingatlan PER -TEHER – és IGÉNY mentes!---------- Ha a hirdetésem felkeltette az érdeklődését, várom a HÍVÁSÁT. A GDN HitelCentrum, KÖTELEZETTSÉG MENTESEN és DÍJMENTESEN, versenyezteti Önért a bankok hitelajánlatait. Ismerje meg a vissza nem térítendő állami támogatásokat! • babaváró, • CSOK+ • hitel, • megtakarítás, • és EGYÉB BANKI tranzakcióban segítségére lehetünk! • Igény esetén, ÜGYVÉDI segítséget nyújtunk, MEGFIZETHETŐ áron! Ha az ingatlannal kapcsolatban bővebb felvilágosításra lenne szüksége, hívjon bizalommal, állok rendelkezésére! F.M.
https://ingatlanok.hu/elado/telek_foldterulet/isaszeg/15-millio-ft;3063-negyzetmeter;nincs-megadva-besorolas;nincs-kozmu/11609935