Eladó telek/földterület Tápiószecső 1 800 000 Ft

Leírás

ÁRZUHANÁS!

CSAK NÁLUNK!

NYARALÓNAK, akár OTTHONNAK, és gazdálkodásra is alkalmas telek megfizethető áron!

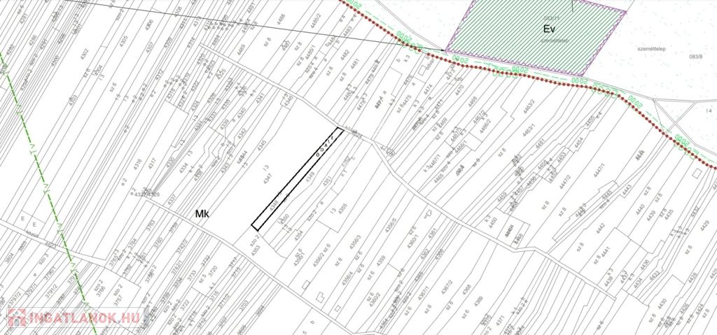
Tápiószecső KISPERJÉS részén, eladó egy 1784 m² alapterületű, ZÁRTKERTI telek.

A tulajdoni lap szerint, , " művelési ág / kivett megnevezésű ", LEGELŐ.

Az övezeti besorolása Mk, azaz Kertgazdasági mezőgazdasági terület.

A 3-as MINŐSÉGI OSZTÁYBA SOROLÁSA miatt, a törvény által előírt KIFÜGGESZTÉSI KÖTELEZETTSÉG mellett lehet megvásárolni!

A szomszédban van víz. Megegyezés szerint, akár lehet Tőle vásárolni.

A szabályzás szerint:
- a legkisebb beépíthető telek terület 1000 m²
- beépítettség 3%
- épületmagasság 4,5 m


GPS koordináták:
N: 47° 25’ 46,74”
E: 19° 34’ 53,39”


AZ UTCAFRONT SZÉLESSÉGE NEM ISMERT, AZ ADAT TÁJÉKOZTATÓ JELLEGŰ!!!

NÉZZE meg, SZERESSEN bele!


A GDN HitelCentrum, KÖTELEZETTSÉG MENTESEN és DÍJMENTESEN, versenyezteti Önért a bankok hitelajánlatait. Ismerje meg a vissza nem térítendő állami támogatásokat!

• babaváró,
• CSOK+
• hitel,
• megtakarítás,
• és EGYÉB BANKI tranzakcióban segítségére lehetünk!

• Igény esetén, ÜGYVÉDI segítséget nyújtunk, MEGFIZETHETŐ áron!


Ha az ingatlannal kapcsolatban bővebb felvilágosításra lenne szüksége, hívjon bizalommal, állok rendelkezésére!

F.M.

Telek/földterület részletei

Ár: 1 800 000 Ft
Méret: 1 784 Négyzetméter
Azonosító: 11499003
Irodai azonosító: 379660
Cím: Zártkert - legelő
Telek: 1784 Négyzetméter
Csatorna: Nincs
Gáz: Nincs
Villany: Utcában
Víz: Nincs

Egyéb jellemzők

  • Zárt kert

Térkép