Eladó telek/földterület Isaszeg 11 900 000 Ft

Leírás

CSAK NÁLUNK !


-----------CSAK most, AKCIÓS ÁRON juthat hozzá! -----------------


HORGÁSZOK ---BEFEKTETŐK----FIGYELEM!
Saját HALAS TAVA lehet, ELÉRHETŐ közelségben és elérhető ÁRON!

Ha hobbi teleket szeretne, a Rákos -patak mellett, a VADREGÉNYES terület remek kikapcsolódás.

Ha vállalkozásban gondolkodik, --------akár NYÁRI TÁBOROZTATÁS, akár -------VADASPARK, akár --------KALAN PARK,------ stb... számtalan lehetőség várja! Teremtse meg saját birodalmát.

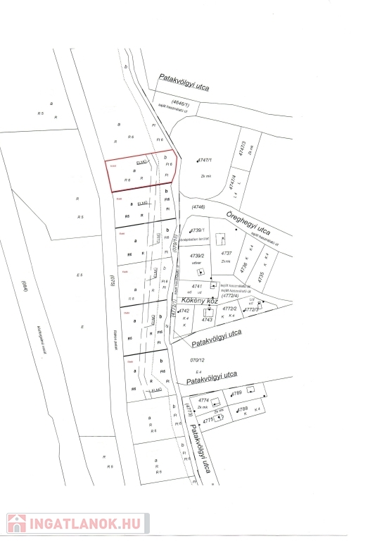
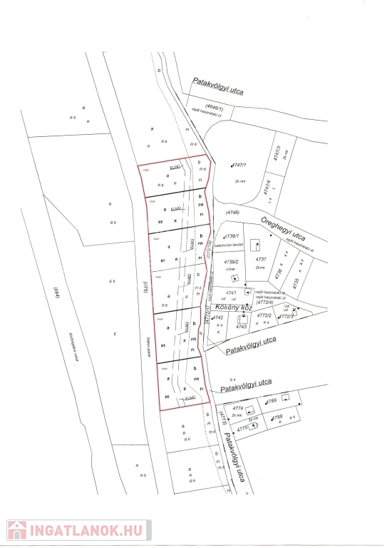
A teljes terület nagyság 18.376 m² , amely 6 db önálló helyrajzi számmal ellátott telekre van osztva. Egyben és külön - külön is ELADÓ!


Az értékesíteni kívánt terület Isaszeg, Öreghegy városrészének elején, eladó egy 3063 m² alapterületű, Tk, azaz TERMÉSZETKÖZELI TERÜLET, övezeti besorolású telek.


A terület 2296 m² rét és 767 m² fásított területet tartalmaz.
6-os művelési osztályba tartozik, aranykorona értéke 3,35.

Az utcában víz és villany közművek találhatók.

Megközelíteni murvás, kavicsos úton lehet.

A környéken, nyaralók, és állandó lakhatású ingatlanok vannak.

Ugyan a telekre építeni nem lehet, de egy úszóház akár alternatív megoldás lehet.


TERMÉSZETKÖZELI TERÜLET,

A Tk jelű természetközeli területen a következő előírásokat kell betartani:

- 53/A.§(1) Az övezetbe nádas, lápos, vízjárta területek tartoznak. Az övezetbe épületek nem helyezhetők el.
- (2) Az övezet ingatlanai művelési águknak megfelelően fenntartandók.
- (3) Az övezetbe sorolt, de kivett művelési ágú földútként és egyúttal közterületként nyilvántartott területekre a HÉSZ KÖu jelű övezetek előírásai vonatkoznak.
- (4) Az övezetben minden tevékenység kezelési terv alapján végezhető.

KÖZLEKEDÉSI ÉS KÖZMŰ ÖVEZETEK

A KÖu jelű közlekedési övezet (közúti közlekedési területek)

- 42. § (1) Az övezetbe tartoznak a meglévő és tervezett közutak a hozzájuk tartozó közlekedésüzemi létesítmények területével és tartozékaival együtt.
- (2) A közlekedési létesítmények szabályozási szélességét a HÉSZ 7. § (4) bekezdésével összhangban SZT szerint kell kialakítani.
- (3) Övezeti paraméterek:
- Beépítési mód: szabadon álló.
- Beépítettség terepszint felett 5%.
- Építmény magasság 5 m.
- (4) Az övezetben 500 m2-nél nagyobb bruttó alapterületű építmény csak jóváhagyott SZT alapján helyezhető el.
- (5) A közutak építési (szabályozási) szélességén belül a közlekedési létesítmények, a közművek létesítményei és berendezései, környezetvédelmi létesítmények, utca bútorok helyezhetők el, illetve utca fásítás (növényzet) telepíthető.
- (6) Az övezetben a melléképítmények közül közmű-becsatlakozási műtárgy, közműpótló műtárgy, hulladéktartály-tároló (legfeljebb 2,0 m-es belmagassággal), kirakatszekrény (legfeljebb 0,40 m-es mélységgel), kerti építmény (hinta, csúszda, homokozó, szökőkút, pihenés és játék céljára szolgáló műtárgy, a terepszintnél 1 m-nél nem magasabbra emelkedő lefedés nélküli terasz), kerti szabadlépcső (tereplépcső) és lejtő, szabadon álló és legfeljebb 6,0 m magas szélkerék, antenna oszlop, zászlótartó oszlop helyezhetők el.


AZ ÖVEZETI BESOROLÁSA miatt, a törvény által előírt, KIFÜGGESZTÉSI KÖTELEZETTSÉG mellett lehet megvásárolni!


Ha valaki csak a telek felét, azaz 50%-át szeretné megvásárolni, ÜGYVÉDI HASZNÁLATI megosztással lehetséges.
Az ár abban az esetben 50% +20% felár = 9.000.000 Ft



Eladó továbbá, a 34, 33, 32, 31, és a 30, számú telkek is. Egyben 90.000.000 Ft


----------Az ingatlan PER -TEHER – és IGÉNY mentes!----------

Ha a hirdetésem felkeltette az érdeklődését, várom a HÍVÁSÁT.



A GDN HitelCentrum, KÖTELEZETTSÉG MENTESEN és DÍJMENTESEN, versenyezteti Önért a bankok hitelajánlatait. Ismerje meg a vissza nem térítendő állami támogatásokat!

• babaváró,
• CSOK+
• hitel,
• megtakarítás,
• és EGYÉB BANKI tranzakcióban segítségére lehetünk!

• Igény esetén, ÜGYVÉDI segítséget nyújtunk, MEGFIZETHETŐ áron!


Ha az ingatlannal kapcsolatban bővebb felvilágosításra lenne szüksége, hívjon bizalommal, állok rendelkezésére!

F.M.

Telek/földterület részletei

Ár: 11 900 000 Ft
Méret: 3 063 Négyzetméter
Azonosító: 11407529
Irodai azonosító: 371261
Cím: Öreghegy /29
Telek: 3063 Négyzetméter
Csatorna: Nincs
Gáz: Nincs
Jelleg: külterület
Villany: Utcában
Víz: Utcában

Térkép

Hasonló telek/földterület hirdetések

Eladó telek/földterület

Isaszeg

Isaszeg kedvelt részén a domb oldalon kínálunk megvételre egy 1070 nm ...

Eladó telek/földterület

Isaszeg

CSAK NÁLUNK! Isaszeg- Öreghegy részén, összesen 2888 m² zártkerti ...

Hasonló telek/földterület hirdetések

Eladó telek/földterület

Isaszeg

Isaszeg kedvelt részén a domb oldalon kínálunk megvételre egy 1070 nm ...

Eladó telek/földterület

Isaszeg

CSAK NÁLUNK! Isaszeg- Öreghegy részén, összesen 2888 m² zártkerti ...