Eladó telek/földterület Miskolc 8 900 000 Ft

Leírás


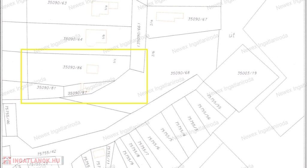
Pereces egyik legjobb utcájában kínálunk megvételre egy 1115 m²-es, kiváló fekvésű és remek adottságokkal rendelkező, lakóövezeti építési telket. Szélső elhelyezkedésének köszönhetően nagyobb privát szférát biztosít, miközben a környék rendezett, gondozott és élhető.

Az utca teljes hosszában aszfaltozott, a buszmegálló mindössze 250 méterre található, az iskola pedig néhány perces sétával könnyedén megközelíthető – ideális választás lehet családoknak, építkezőknek és befektetőknek egyaránt.

 

A közműellátottság kiváló: a villany és a víz a telken belül, a gáz a telekhatáron, a csatorna pedig az utcában érhető el. A beépíthetőség 40%, ami sokféle építészeti elképzelésnek teremt lehetőséget. A telken egy bontandó, egyszobás épület is található, amely új otthonnak könnyen átadhatja a helyét.

 

A Vodafone és a Telekom hálózata is stabilan elérhető, a közvilágítás pedig közvetlenül a kapu előtt biztosítja az esti biztonságot.

Ha olyan ingatlant keres, amely hosszú távon is értékálló befektetést jelent, ez a telek tökéletes választás – akár azonnali építkezésben gondolkodik, akár később szeretne dönteni.

 

Hívjon mielőbb, hogy ne maradjon le erről a kiváló lehetőségről!

Telek/földterület részletei

Ár: 8 900 000 Ft
Méret: 1 115 Négyzetméter
Azonosító: 11596827
Irodai azonosító: 698900431
Telek: 1115 Négyzetméter
Besorolás: Építési telek
Csatorna: Utcában
Gáz: Utcában
Villany: Telken belül
Víz: Telken belül

Egyéb jellemzők

  • Zárt kert

Hasonló telek/földterület hirdetések

Eladó telek/földterület

Miskolc

Eladó Miskolc Bodótető városrészén ez a 932 m2-es építési telek. Panorámás, ...

Eladó telek/földterület

Miskolc, Bodótető

Miskolc Bodótetőn Belvároshoz közel, de csendes zöldövezetben, kiváló ...

Hasonló telek/földterület hirdetések

Eladó telek/földterület

Miskolc

Eladó Miskolc Bodótető városrészén ez a 932 m2-es építési telek. Panorámás, ...

Eladó telek/földterület

Miskolc, Bodótető

Miskolc Bodótetőn Belvároshoz közel, de csendes zöldövezetben, kiváló ...